鶴岡市本町1丁目 店舗用地
【 おすすめコメント 】
☆ 鶴岡銀座商店街沿いです。
☆ 年に数回は歩行者天国で集客力あるイベント開催
☆ 最近この周辺に店舗出店が多いです。
☆ コンパクトシティ鶴岡の中心地
☆ 解体更地渡し
| 物件名 | 鶴岡市本町一丁目店舗用地 |
|---|---|
| エリア | 山形県鶴岡市本町1丁目7番地40号 |
| 価格 | 1,200万円 |
| 交通 | JR羽越本線 / 鶴岡駅 徒歩20分 |
| 物件種別 | 土地 |
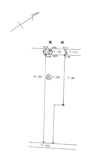
| 土地面積 | 119.12M2(公簿) |
| 坪数 | 74.15坪 |
| 坪単価 | 33.31万円 |
| 土地権利 | 所有権 |
| 都市計画 | 市街化地域 |
| 用途地域 | 商業地域 |
| 私道負担面積 | なし |
| 接道状況 | 西14.7m 公道 接面6.0m |
| 建蔽率 | 50% |
| 容積率 | 80% |
| 地目 | 宅地 |
| 地勢 | 平坦 |
| 小学校区 | 朝暘二小 |
| 中学校区 | 鶴岡三中 |
| 上水道 | なし |
| 下水道 | なし |
| ガス | 引き込みなし |
| 現況 | 建物 |
| 引き渡し時期 | 相談 |
| 物件番号 | 6977798409 |
| 仲介手数料 | 分かれ |
| 取引形態 | 専任媒介 |
| 情報公開日 | 2023年4月15日 |
| 次回更新予定日 | 2025年11月30日 |
■学区(朝暘二小/鶴岡三中) ■坪数 36.03坪 ■第二種高度地区 ■景観計画区域内 ■ 準防火地域 ■ 境界非表示 ■図面と現況に相違ある場合には現況優先します。■ 鶴岡市歴史文化ゾーン内 ■ 居住誘導区域・都市機能誘導区域内 ■ 都市計画道路沿い ■ 心理的告知事項有
■ 解体費用売主負担
取扱広告主
| 名称 | MIZUHO不動産 |
|---|---|
| 事務所所在地 |
〒997-0011 山形県鶴岡市宝田3-7-8 |
| TEL/FAX | 0235-22-1210 / 0235-22-1440 |
| 宅建業の免許番号 | 山形県知事免許(1)第2722号 |







